Qatar’s Insects 
This groundbreaking project is the first of its kind and is part of Qatar’s national initiative to classify its insect species, contributing significantly to the country’s scientific knowledge and natural heritage.
A key aspect of the project is training Qatari teachers and educators, equipping them with the knowledge to pass on to students. Beyond its educational impact, the project has important cultural and scientific dimensions, ensuring that Qatar’s insect species—including newly discovered ones—are preserved and studied at the Qatar National Museum for research purposes.
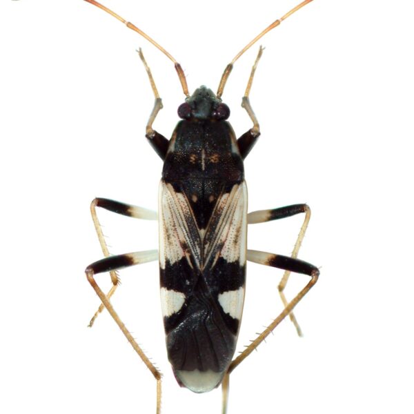
As part of this initiative, 17 insect species previously unknown to the world have been discovered in Qatar, adding to the 170 species already documented. This highlights the effectiveness of ongoing scientific research efforts to establish a museum dedicated to the country’s insect biodiversity.
The project aims to classify 10 insect orders, covering 136 families, 448 genera, and 672 species—of which 222 remain unclassified. It has also identified 407 species of beetles, along with various butterflies and flies. Importantly, none of these insects pose a threat to Qatar’s environment; instead, they play a crucial role in maintaining ecological balance.
The classification of Qatar’s insects holds global significance, as the 17 newly discovered species had never been documented before. Each has been given a scientific name inspired by Qatar’s natural landscapes, including its deserts and coastal regions.









